Karol potrebuje Vašu pomoc

Image removed.Veľmi pekne prosíme o pomoc s úhradou veterinárnych nákladov, náš účet je takmer na nule!

Karol je úžasný kríženček jazvečíka, ktorý zrejme nechtiac vbehol pod kolesá auta :( Výlet, ktorý absolvoval so svojim kamarátom sa mu skoro stal osudným, ale našťastie ešte neprišiel jeho čas. Našiel sa pri ceste, celý dolámaný, ako nehybne sedel dlhé hodiny pri svojom mŕtvom kamarátovi, ktorý žiaľ nemal také šťastie ako Karči.

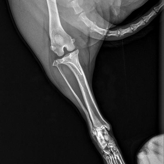
Karola nám doviezla pani, ktorá ho našla, asi jediná dobrá duša, ktorá pri ňom neprešla so zatvorenými očami. Ihneď sme s krpcom utekali na veterinu aby sa zistila závažnosť jeho zranení. Hneď pri prvých RTG snímkoch sa ukázala obojstranná fraktúra panvy, taktiež fraktúra krídla panvy a keby mu to chudákovi nestačilo, do tretice sa objavila zlomenina stavca. Karolko mal neznesiteľné bolesti, ale krásne prečkal vyšetrenie lebo vedel, že je v dobrých rukách a dostáva sa mu pomoci. Po nálezoch sme okamžite kontaktovali neurológiu a ortopédiu na veterinárnej klinike Sibra - centrum veterinárnej medicíny, kde sme dostali hneď termín na príjem.

S obrovskou radosťou sme počúvali slová neurológa, MVDr. Hájeka keď nám oznámil, že...

Karol nemá žiadne neurologické deficity, po ortopedickej operácii bude vedieť behať a bez problémov bude vedieť samostatne cikať a kakať. Po tejto úžasnej správe sme samozrejme dali zelenú náročnej ortopedickej operácii pod vedením MVDr. Vatolíka. Operácia sa podarila na výbornú, Karči je "zoskrutkovaný" a vôbec nič mu nebráni v tom, aby opäť mohol behať a aktívne žiť. Momentálne sa zotavuje po operácii, musí mať prísny kľudový režim. Po vybratí stehov ho čaká hydro- a fyzioterapia, ktorá mu pomôže postaviť sa na nohy. Je to bojovník, veľmi sa chce uzdraviť a v jeho očkách je dokonale vidieť, že už kuje plány čo všetko zameškané bude musieť dobehnúť.

Podporíme ho úplne vo všetkom, ale potrebujeme aj Vašu podporu a to s úhradou veterinárnych nákladov. Sme v ozaj ťažkej finančnej situácii, kedy nám každé jedno euro pomôže prežiť.

ĎAKUJEME!


Pre Slovensko Tatra Banka:
IBAN: SK27 1100 0000 0029 2685 7357
SWIFT: TATRSKBX
Účel platby: KAROL

Pre Českú republiku FIO:

2302112664/2010
Účel platby: KAROL

PayPal: dogazyl@azet.sk

Materiálna pomoc: https://www.preutulky.sk/action/Affiliate/setAccess/?partnerId=27&linkId=83

2% z dane: https://dogazyl.sk/podporte-nas#dane_2

Náhľad do našich mesačných príjmov a výdavkov nájdete tu:
https://dogazyl.sk/prehlad-hospodarenia