Akira - adoptovaná

Pohlavie
samica
Narodený(á)
cca február 2009
Váha
35kg
Výška
60cm

 

Láskyplná AKIRA hľadá domov


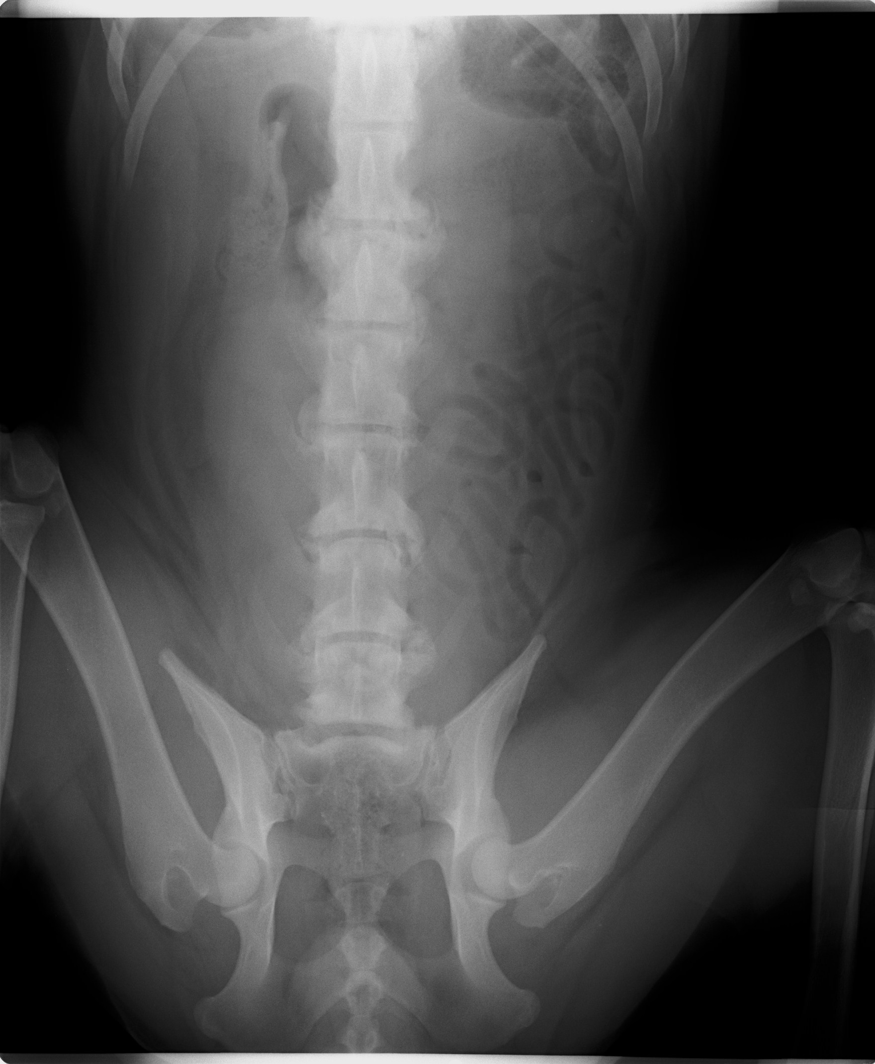
Akira, narodená cca február 2009, sa našla pri Lehniciach. V tejto lokalite je to už za posledný pol rok asi piata akita, takže je evidentné, že sa ich nejaký množiteľ zbavuje! Akira je dokonalou predstaviteľkou plemena americká akita. Má za sebou neľahké obdobie, prešla to totiž operáciou vyskočenej platničky, ktorej predchádzal život v krutých bolestiach :( Platnička je opäť na mieste, ale Akira má problém s celou chrbticou, ktorá je zrastená (prikladáme RTG snímky). Akira sa teda bude musieť doživotne šetriť, aby nemala zbytočné bolesti. To znamená kontrolovaný pohyb, určite nenechávať niekde na dvore bez dozoru, aby celý deň lietala! Prechádzky iba na vodítku, kľudne na dlhom, ale treba dať pozor aby nezabehla a nezačala sa hrať na naháňačku. Skákanie minimalizovať ako sa len bude dať, a ideálne žiadne schody! Akira si túto starostlivosť ale veľmi zaslúži :) Je to neopísateľný miláčik, lásky má na rozdávanie aj za troch. Miluje ľudí, úplne každého človeka zbožňuje, aj toho, ktorého ešte nepozná :) Na klinike si ju celý personál zamiloval a ona sa túlila ku každému. Akiru nám dokonale opísal pán doktor na klinike, ktorý povedal, že "je to miláčik, ale jadrový fyzik to nie je" :D Toto Akiru dokonale vystihuje ale to samozrejme neznamená, že sa nič nedokáže naučiť, len z nej nikdy nebude komisár Rex a ani Hatchiko :D Je to také milé trdielko, ktoré nechce nič iné, ako milovať a byť milovaná. Je nenáročná, nekonfliktná, znášanlivá so psíkmi aj fenkami, jednoducho dokonalá. Hľadá si rodinu, ktorá jej bude vedieť zabezpečiť potrebnú opateru a starostlivosť. Samozrejme konzultácia novej rodiny s ortopédom je možná. Akira čaká na svoju druhú šancu od februára 2017.


Akira je odčervená, očkovaná, čipovaná, kastrovaná.


V prípade záujmu o adopciu píšte na dogazyl@azet.sk, alebo volajte na 0905 507 847


V prípade, že by ste vedeli alebo chceli prispieť finančne práve na Akiru (veterina, krmivo..), môžete tak urobiť na účet: 2926857357/1100 (Tatra banka)
IBAN: SK27 1100 0000 0029 2685 7357
BIC: TATRSKBX
Heslo: AKIRA
 

 

Akira, geboren ca. im Februar 2009, wurde in Lehnice gefunden. In dieser Umgebung ist das schon fünfte Akita in den letzten 6 Monaten, also offensichtlich werden die von ein Vehrmehrer rausgeschmissen. Akira ist typischer Darsteller von Amerikanische Akita. Sie hat schwere Zeiten hinter sich. Sie hat große Schmerzen im Rücken gehabt, ihre Bandscheibe wurde operiert. Bandwechsel ist wieder auf seinem Platz, aber Akira hat Problem mit dem ganzen Rückgrat (die RTG Bilder legen wir bei). Akira muss sich den Rest des Lebens schonen, damit sie keine unnötigen Schmerzen hat. Das heißt die Bewegung unter Kontrolle zu halten, kein freies Laufen am Hof ohne Aufsicht. Die Spaziergänge nur an der Leine, auch auf längeren, nur man muss aufpassen dass sie nicht laufen will. Springen muss so viel es geht minimalisiert, ideal keine Treppen. Akira verdient sich diese Sorgfalt :) Sie ist ein unbeschreibliches Liebling, Liebe kann sie für drei verschenken. Sie liebt sehr alle Menschen, sogar auch Fremde :) In der Klinik hat sie das ganze Personal geliebt. Akira wurde von Hr. Doktor so beschrieben: „sie ist ein Liebling, kein Kernphysiker“ Das heißt aber nicht, dass sie nichts lernen kann, aus ihr wird nur kein Kommissar Rex und kein Hatchiko werden. Sie ist so lieb und das einzige was sie will ist geliebt zu werden und jemanden zu lieben. Sie ist nicht anspruchsvoll, konfliktlos, erträgt sich mit anderen Hunden, einfach vollkommen! Sie sucht eine Familie die ihr die notwendige Versorgung geben kann. Selbstverständlich sind weitere Konsultationen mit einem Orthopäden möglich. Akira wartet auf ihre zweite Chance seit Februar 2017.